New Grocery Store
New City Market Grocery Store Application
Status: Application review in Process
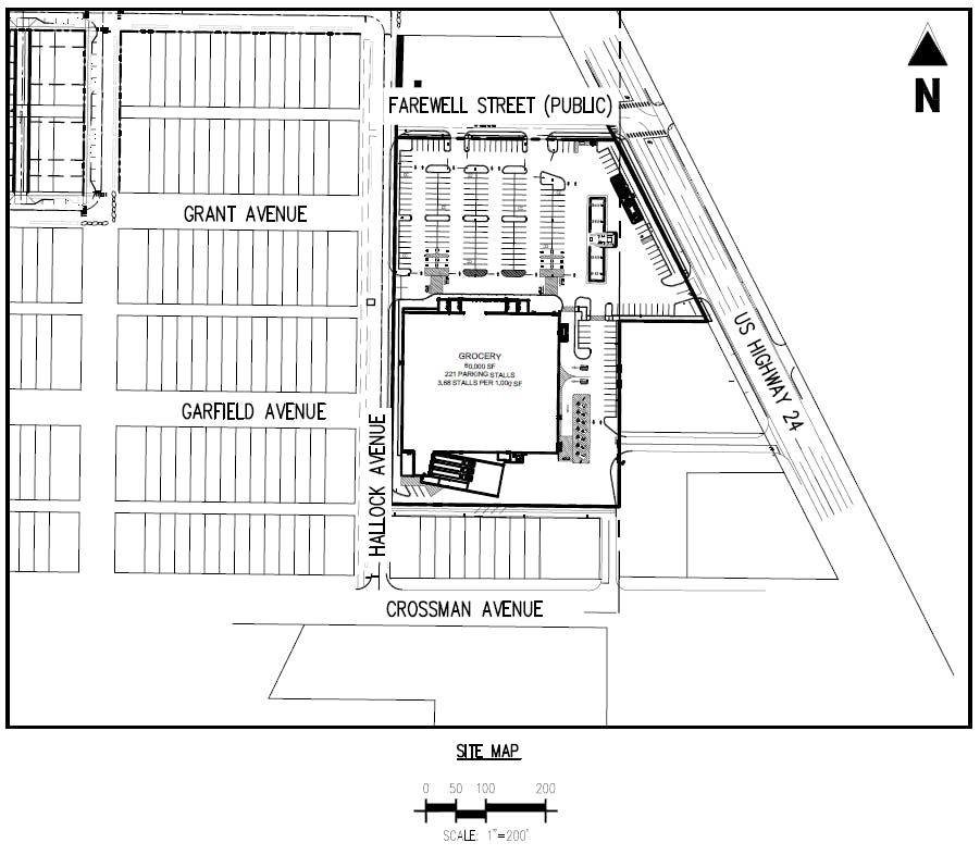
The Town of Buena Vista Development Review Team is in the process of reviewing a proposal for a new City Market grocery store located adjacent the NW Corner of N HWY 24 and Crossman Avenue. The property is approximately 6 acres, and the retail grocery store building is proposed to be 60,000 sf.
This project is subject to a public hearing and notice process. Neighbors that are interested in the project are encouraged to attend and/or provide written feedback. Please note that projects in review have not yet been approved.
Below, find the application file, information on the review process and upcoming meeting dates.
Project Summary:
Project Number: PZ 25-024
Location: Adjacent NW corner of N Hwy 24 & Crossman Ave
Existing Use: Vacant
Proposed Use: Retail Grocery Store and Fueling Station
Vacant Lot Location Looking East
Description:
The proposed development encompasses the following key components:
1. Grocery Store: A +/-60,000 square foot grocery store designed to meet the diverse needs of the local population, featuring a wide selection of fresh produce, meats, and other essential products.
2. Online Grocery Pickup: Seven (7) online order pickup lanes are provided to provide customers a convenient alternative to in-store shopping.
3. Retail Fuel Station: A 4 MPD (multi-product dispenser) retail fuel station to provide convenient fueling options for customers and further support the retail components of the project.
4. Drive-Thru Pharmacy: A pharmacy is proposed within the grocery store and a drive-thru window shall be provided to give customers additional pick-up options to support the grocery store operations.
The proposed development includes enhancements aimed at improving local traffic circulation and pedestrian safety, notably through a new signalized intersection on U.S. Highway 24 and Farwell and dedicated private drive improvements. Additionally, the westerly leg of Farwell is proposed to extend along the northern edge of the property line (to include an existing 20’ wide public alley) to provide ample circulation for delivery vehicles and retail traffic. Additional access points into the subject property include a right-in, right-out and full movement access off U.S. Highway 24. Access from Crossman Avenue to the south is provided via two full movement access points utilizing existing public right-of-way.
Vicinity Map:

Aerial Photo:
Image of Aerial PhotoProject Files:
City Market Strategic Overview Plans
Process and Timeline: The project is still in the very early stages of review. Prior to presenting the plan publicly, the applicant must complete sufficient review to ensure the proposal meets Town standards.
Step 1: Complete at least 2 rounds of Development Review
Step 2: Planning and Zoning Commission - Public Hearing
Applicants are encouraged to incorporate feedback received throughout the public hearing process, where feasible.
If you have questions or feedback you don't have to wait for a meeting to be heard, you may submit your questions or feedback now through the comment submission form. Frequently asked questions will be collected and responded to at the bottom of this page.
Image of Review ProcessPlanning Commission
As part of the public hearing process, applicants must present their proposal to Planning and Zoning Commission. Planning and Zoning Commission will review the proposal, relative to the findings of the Unified Development Code, and make a determination to approve, approve with conditions or deny the request.
All interested parties may appear and speak on the matter at the public hearing and/or file written comments with the Planning Division at least one week in advance of the hearing.
How will I be notified?
Applicants must provide 15-day notice of the public hearings by:
- Mailing notices to property owners within a 300 ft radius of the property
- Posting notice signs in prominent locations along the right-of-way
The Town provides 15-day notice by publishing notice of public hearing in the Chaffee County Times. The Town will also provide 15-day notice by posting notice on the Town's MY-BV website
DISCLAIMER
Please note that this page is not intended to fully detail the project and review process but highlight key information and important dates. Please check back for future updates.




I’m very excited for the building if we make it through the 6 steps I am fully on board with this new grocery store
As a Business owner in town (Buena Vista ACE Hardware) and one whom had to develop the property to expand my business I can only respond to the proposed City Market with some facts.
I believe a new City Market is a greatly needed and wanted addition to our community and will help keep all types of sale local. However, from personal experience, when a new “Big Box” opens in a community all other local business will feel the effects for at least a year. Then after the novelty wears off, most businesses will see a rebound in their sales. Some business will not be able to weather the competition and will close.
I would also like to clarify some misperceptions on the current ACE development. Every ACE Hardware or True Value are independently owned and operated, they are not publicly traded large corporations.
Additionally, the ACE development did not receive a 75% tax rebate as has been stated.
Any individually owned and operated business in town have not gotten town subsidizes much less expect any real Town financial assistance that I am aware.
When I was developing the current site of the ACE Hardware these are the facts:
1) The property (10 acres) was located outside of the Town Limits.(No Sales Tax Received)
2) No infrastructure was in place for the property: No Water, No Sewer, No Electric, No Gas, No Water Rights, No Highway Access.
3) The Town had a policy; “Developers Pay Their Own Way!”
The only assistance I managed to negotiate with the Town was a cost recovery for the Town water line leading up to the property (Along the Highway -Rocky Lumber to the Harrison). I agreed to ANNEX the property into the town limits (thus keeping the Sales Tax revenue for the Town) in exchange for a 75% rebate on the sales tax generated above the base sale tax the store generated before the new store opened. This was only for the water line outside of the property being developed.
Then any additional new business which came into the property, ie: Loves, Tractor Supply. The sales tax they generated would be rebated at 25% to pay down this portion of the water line.
This was for a period of no more than 10 years and only for the expense incurred for the water line to the property. (We broke even on the tenth year.)
Additionally, I deeded a quarter of an acre to the Town for alley access in the Crossman Subdivision.
In my case, every cost associated with the utilities and infrastructure to and in the site was borne entirely by my business. There were no incentives or financial assistance provided by the Town, even though these improvements ultimately benefited the broader community. This approach ensured fairness and encouraged responsible development within Buena Vista.
As for Kroger’s “Subsidize Tax Break”. (If one has been proposed?)
I’d really like to know where or how it would be done.
The majority of products sold (80-90%) in City Market are groceries, which in the state and town of Colorado do not have sale tax collected.
If the new City Market incentive is agreed upon:
Who proposed the incentive?
Why?
Where are these subsidize or rebate coming from?
How much?
How long?
What is the rationale for granting incentives to an out-of-state corporation, specifically a NYSE publicly traded company, when such benefits could potentially impact the interests of local citizens and businesses within this community?
It’s important for the community to understand the long-term implications of granting significant tax breaks to large corporations. While such incentives might attract new businesses, they can also shift the financial burden onto local taxpayers and smaller independent businesses that do not receive similar benefits. Transparent communication and a clear evaluation of the net benefits to the town are crucial before implementing any subsidy or rebate programs. Residents and business owners should be involved in these discussions to ensure that the interests of the local community are prioritized.
Not necessarily the interest of very large corporations.
In addition, the precedent set by offering generous tax breaks to major corporations could potentially undermine fair competition within the marketplace. Smaller businesses, which are the backbone of the local economy, may struggle to compete if they are excluded from similar incentives. This could lead to reduced diversity in the business landscape and limit opportunities for local entrepreneurs, ultimately affecting the vitality and character of the community.
What happened to “Developers Pay Their Own Way”?
Charles “Chuck” Quenon
Buena Vista
I hear and can agree with some people’s frustrations around City Market’s request to share in incremental tax revenues. I understand it’s easy to look at them as the 1,000 lb gorilla and ask why they get a tax break when other businesses do not.
I hope the Town Trustees are able to take a step back and see the broader picture. When this was initially presented the community feedback was unanimously “Yes, we want a new state of the art grocery store”. “Yes we want more choice and better prices.” “Yes the current store is undersized and the parking lot unworkable and the access dangerous and causes numerous accidents.” YES please - this community wants City Market to invest and expand
I think it’s also important to look at the full impact of this investment on our local economy. Kroger’s analysis shows that a store like this will draw from Leadville, Fairplay, some from Salida, and attract many folks from Nathrop and other parts of Chaffee County who currently go south to get their groceries. These visitors will also spend money at coffee shops, restaurants and local stores such as Ace and Tractor Supply when they come to town. This will result in an overall increase in tax revenue to the town, irrespective of an increment split with CM. The "pie will increase in size" and our share will be bigger than today’s sales tax revenue.
While I understand it may not be simple or pleasant, this is how economic growth works in other towns, big and small. This is a $30+m investment in our community, possibly the largest in our history. It will lead to other investment and development. For example, with a modern City Market and new access road adjacent to The Crossing, this community will be able to add over 30,000 SF of new commercial development in its second phase. The Crossing will also be able to add many smaller affordable housing units for rent and sale. This will add further to the sales tax base as well as provide much needed housing. All this development is perfectly in line with our county’s master plan of adding density in the towns while leaving the County rural. Without their $30m investment none of this additional investment that will generate additional sales tax revenue will occur. The real downside is a closing of their undersized store, a vacant box in our town and an absolute reduction to our tax base and knock on decline.
It’s possible to look at the City Market opportunity with scarcity and fear and say we can’t afford to share, invest and grow. It’s also possible to look at it, as I do, as opportunity for our community to grow, while having access a great amenity we all want and need.
If you look at the last comparable store which was built in Carbondale, a community like ours. There was similar angst, and the neighboring community of Basalt expected a decline in their tax base. The results have been that both towns have seen a 5% increase in tax revenues. While the previous grocery stores have continued in business and not closed. In addition, new businesses serving the community and generating tax base, as well as apartments and modern homes have developed around the City Market as an anchor.
As the Town’s lawyer and our Local EDC leader explained during the meeting with Kroger. This is a normal process and to be expected when a large company makes such a big investment. If City Market does move and expand, they will look for a replacement tenant for the current building that they will continue to own, that will add additional sales tax revenues to our base.
Sharing tax revenue to install a new traffic light and some public infrastructure is no different than the Town did 12 years ago with Ace hardware installing a water main and receiving 75% of the incremental taxes. This led to additional investment by Love’s and Tractor Supply, both of which added sales base and tax revenues.
Paul
Any new construction needs Dark Sky approved lighting. I'm an amateur astronomer living west of town. When the Loves and Tractor Supply lights turned on, I lost visibility for about 20% of the sky. The new City Market complex needs lights directed toward the ground, motion-sensor lights that turn off at night when not in use, and dark pavement to reduce reflected glare.
Salida and Leadville are both working on qualifying for Dark Sky Certification (darksky.org). Browns Canyon NM received the certification last year. Buena Vista adding even more super bright lights will hinder their applications.
When the covered and downward-facing lights were installed on Hwy 24 in town, I noticed an improvement. Having the right lights does protect our night sky.
Light pollution disrupts wildlife, bird migrations, and human health, it wastes money and electricity, and is heartbreaking for those of us who moved out of the bright cities in order to see the universe.
From: Thomas Brown
230 Brookdale Ave., Buena Vista, CO
brownertj@gmail.com
I sympathize with Board of Trustees and community member concerns with Kroger’s proposed incremental tax revenue reduction request. However, the Town of Buena Vista approved a similar 10-year Town incremental tax reduction allowance when ACE Hardware (then Tru Value) requested and received approval to build a new store at the Buena Vista north gate on HWY 24. For the record, Ace Hardware and True Value are both multi-billion dollar corporations. Since a Buena Vista Board of Trustees 10-year tax reduction precedent has previously been established, it appears disingenuous to not approve Kroger’s tax reduction request, simply because they also make billions of dollars in retail sales.
Recommended changes and additions to the proposed Kroger site plan:
1. Given the proximity to HWY 24 and residential areas, recommend a shopping cart property line electronic barrier be emplaced so that carts cannot reach HWY 24 (a potential traffic hazard) or the residential areas.
2. At a minimum, trees and shrubbery should be planted along the south (loading dock) side of the City Market lot (at the alley). This would help break up City Market bare line of sight walls from Crossman Ave. and help reduce the industrial appearance of the loading dock area, since residences are also directly adjacent at this side of the store.
3. A sound barrier along the loading dock alley should also be considered, given the proximity of homes and likely high levels of truck traffic noise in this area. The Town should, at a minimum, regularly perform sound testing to ensure conformity with existing sound and noise ordinances.
4. Lighting should be downcast in the parking lot and (when possible) at the building to reduce impact on migrating wildlife and to avoid excessive light pollution for nearby residents and visitors.
5. A bus stop with seating should be included in the site plan for any future Town or County shuttle bus services, and to provide a convenient covered location for the dropping off and picking up of shoppers.
6. Bike rack numbers should be increased from the minimum level with special Kroger consideration of constructing a covered bike storage area for customer and employee use. Winters are long and cold in Buena Vista and an accessible covered bike storage at the new City Market would allow for more year round bike usage and potentially encourage other Town businesses to follow suit.
7. The Town, hopefully with Kroger’s assistance, should plan on constructing a bike trail and sidewalks on both sides of Highway 24 from Crossman Ave to the new grocery store.
8. The Buena Vista Planning Department/Parks and Recreation Department, Planning Commission, BV Board of Trustees, and possibly Kroger Corporation should explore options (financial incentives, grants, CDOT approvals, rights of way, land purchases, etc.) with Chaffee County and the State of Colorado to design and construct a bike/walking trail extending north from the proposed new City Market along HWY 24 to the various County businesses and residences located along this rapidly developing highway town and county corridor. It can only be assumed that the construction of a store this large will likely result in other businesses wishing to relocate in this area, both within town limits and within the County. The Town’s 3-mile plan should be prepared for such growth to occur, which could include additional utilities, road expansion, turnouts, merge lanes, and possibly traffic lights on this section of Highway 24.
Although I agree that BV could use an upgraded City Market (CM) store, I am adamantly opposed to the Kroger corporation blackmailing our town by demanding 75% of incremental sales tax revenues being paid to Kroger! The only reasonable solution is Kroger getting $0 in incremental sales tax revenue, or that incremental sales tax revenue goes to fund affordable housing in BV and Chaffee County, since this project is going to need even more low-paid service workers who will not be able to afford to live here.
As someone raising 3 kids in this community, I strongly support the proposed new City Market for Buena Vista. This project will provide much-needed shopping options for local families, create around 60 new jobs, and help keep more of our spending here in town rather than in Salida or other communities. (We currently spend hundreds of dollars per month at Walmart in Salida and other areas)
A larger grocery store will also bring more shoppers into Buena Vista, which will directly benefit nearby restaurants, shops, and service businesses. The ripple effect of this investment will strengthen our entire local economy.
It’s also worth noting that sales tax sharing agreements are a very common practice across Colorado. These temporary arrangements help offset the significant infrastructure costs that new developments are required to fund—such as roads, traffic lights, or utility upgrades—and they typically only apply to new revenue generated beyond what already exists. There are many rural towns across Colorado that would be thrilled to be in this position to have a new grocery store invest in their community. I don't necessarily think the town needs to accept City Market's proposal at face value but please negotiate and work something out that is a mutual win for us all.
This is a smart, forward-thinking opportunity for BV that will serve residents, visitors, and small businesses alike. I encourage the town trustees to work collaboratively with City Market to make this happen. Everyone has been dreaming of a new grocery store for years and we cannot afford to mess this up.
I am reaching out to say that the town of Buena Vista for no reason should allow City Market to not pay sales tax for any amount of time if they are over budget on their construction project. This is a giant corporation that is actively competing with family owned small businesses that are a part of this valley. While City market may originally be a Colorado company, they are now owned by a massive corporation based in Cincinnati Ohio. We do not need to pad their shareholder value at the expense of Buena Vista. If Little Daisy or Lagrees went over budget on a construction project no one would help them. Also this corporation also admitted to price gouging during The Pandemic.
https://www.newsweek.com/kroger-executive-admits-company-gouged-prices-above-inflation-1945742
Pleas support healthy competition between business and pick proudly Buena Vista owned shops in the valley over this corporation.
A new grocery store would help bring city living into our small mountain town. A large Corporate owned store is going to have a big negative impact on small businesses. A tax break for our largest Sales Tax collector(City Market) only hurts Buena Vista and helps a Billion Dollar Corporation. Lagrees did not ask for a tax break, they wanted to help fill a void needed in town and did so, without handouts. I hope Kroger Corporation hopes to do the same.
Require this new City Market adopt low-light (dark sky approved) lighting similar to the high school parking lot area.
No new gas station is needed. It will only add to the traffic congestion and light pollution.
Require parking lot to include treed-islands -- not just one big carpet of asphalt.
Can design include minimal new traffic signals?
How an design, signage, lighting have a "Buena Vista" character and not just a big box "Colorado Springs" character?
A new City Market will be good for BV. More selection will bring more customers (people won’t drive to Safeway in Salida). Visitors here will spend more money on goods. Being able to order online and pick up at the store is a wonderful option when you’re not feeling well or have short time available. Gas will be cheaper with a CM gas station available, using their discounts. I think that if a tax break is needed to offset costs, it definitely should not be as high as proposed and should be for a limited time. Kroger will negotiate, as a new store will bring them more profit in the long run. And a new parking lot with safer access is desperately needed.
I do not believe there should be a tax break for a company that makes such a huge profit based on executive salaries. Yes, we need a new City Market. We do not necessarily need another gas station, especially since Loaf n' Jug and Steadmans honor the fuel points. HWY 24 volume and new housing traffic need to be looked at when establishing where new traffic lights need to be and road configurations needs to change. Any new traffic light should be at Love's/Ace intersection with a wider intersection that accommodates the long auto/trailer setups and improved turn lanes. The Crossman intersection needs to be completely reworked by CDOT to correct their previous mistakes and plan for the future volume. The NW corner should have initially been cut back to make turning from the north safe. Now it has to be done because of the Meadows concerts and new neighborhood traffic. If the town wants some kind of traffic control at CM, add a pedestrian crossing light and/or a raised curb can be put up to block the north bound traffic and anyone coming from the south can enter via Crossman and Hallock(new st) or the Love's/Ace intersections. Make sure the parking lot can accommodate these crazy auto/trailer setups in a very obvious way so the flow is not inhibited.
In regards to incremental sales tax, City Market claims they will bring more jobs to Town but my questions are, does City Market pay a living wage? and if not (I'm assuming not), who are these people they plan to hire? They can barely stay staffed at the current City Market.
As a mother of three who makes at least 2-3 trips to the grocery store weekly, the existing City Market is the bane of my existence. It is the only thing that I dislike about living in Buena Vista. I would like to echo my support for the immediate construction of a larger store with more capacity to serve our town, especially in the summer months when our grocery store is flooded by tourists. This upgrade is desperately needed! That being said, a few comments:
1. I would like to see how the existing square footage compares to the proposed square footage. The aisles in the existing store are entirely too small. They should be at least 2-3 times wider to allow for more flow of people. It's like bumper cars at the existing CM where you must excuse yourself incessantly to walk down the narrow aisles. You cannot park your cart anywhere without being in someone else's way.
2. How does the existing parking lot size compare to the proposed? We need at least double the capacity of parking as the existing store. There is consistently a line of cars waiting to enter the parking lot on every day in the summer and after 3 pm year round. As mentioned by previous commenters below, the optimal traffic flow to and from the parking lot from various points of egress is critical.
3. I concur that another fuel station is not necessary and will further contribute to the congestion of the parking lot, especially during the busier tourist months. I'd rather see this space used for additional square footage in the store and parking lot. Love's is less than a quarter of a mile away.
4. To the leaders of our town - please, please, please do not torpedo this project. A larger grocery store is desperately needed to support the growth of Buena Vista and to improve the quality of life for the full-time residents of this community.
Current grocery store is insufficient for our town- I offer full support to expand CM. In agreement with many previous comments-
1. needs to have a suitable architecture for our town, not just a fast-track construction look.
2. needs special consideration to walkers and bikers- we need to encourage people to ride or walk as our town is hardly big enough to need cars. Suitable covered bike parking in a priority location and safe pathways to the store
3. Special consideration to traffic flow, lights, entry points, pedestrian crossings, etc- current CM parking lot and access is extremely unsafe and feels like a video game at times.
4. Do we really need another fuel station? Loves is 30 seconds up the road and we have 4 other stations in town. Despite what we want to believe, fuel stations contaminate the air and the ground as well as require more 18 wheelers (loud, stinky and hard on roads) to enter our valley.
5. Noise pollution - At the current CM there is a trailer parked in back that has it's refrigerator unit on all the time. This can't be fun for the nearby residents to hear 24/7. We should also prohibit engine brakes in town. This also brings up the back-up safety beepers. They make white noise beepers that can only be heard when close to the vehicle and not 2 miles away. These are perfect for dirtwork in congested town areas. Europe uses them exclusively in towns.
6.Light pollution - can we PLEASE consider the lighting in the parking lot. We don't want another complex that destroys our night sky like the prison, SDCEA and Darren Patterson. Our night sky is phenomenal but it's being taken away one development at a time. Downcast lights seem to be more of a suggestion than a rule around here. This is why people come here and we are slowly but surely destroying it.
Thanks for involving the town in this process. We have a lot of smart people living here!
I will be very pleased when BV gets a new and improved City Market - the sooner the better.
The only improvement to the site plan would be access to Crossman, so turning on to northbound 24 would be safer.
The New City Market is definitely needed, but there should be strict architectural guild lines like in Woodland Park, etc. that keep the small town vibe and urban footprint intact, lending a nod to historical buildings around town. This is something that has been neglected in the past with other projects resulting in a lack of visual cohesiveness. There is much concern over letting big food chains like McDonalds and Starbucks into our community since it would have a huge impact on small businesses who already struggle to be here, especially in winter. A decision of that magnitude should be voted on by the town especially business owners whose lives would be impacted.
All the community is extremely excited to see this happening as we have all struggled with the incredibly over crowed parking area and small size City Market we have for the population of Buena Vista and our visitors. It is so busy it feels unsafe. We pray everyone works together to get this completed answer it is upmost importance for Buena Vista! Thank you for all you do to complete this project! Very Much Appreciated!! Mary Kale
While the project mentions food and essentials, it doesn't mention beer/wine/liquor. It is probably safe to say that store will apply for a liquor license. Considering the county /BV voted against wine in grocery stores in 2022, will that factor into the consideration for a liquor license at that store?
This is welcome news and much needed for BV and the surrounding area! I'll echo what some others have said - in addition to the new store, make it a priority to be able to get to/from the new store by bike, foot, or other non-motorized means of transportation. Also, take into consideration the addition of a stoplight to ease the chaos of getting on/off Hwy 24 during peak times - similar to what is already being experienced at the current City Market location during peak tourist season.